Városlista
2025. december 11, csütörtök - Árpád

Hírek

2013. Április 11. 09:31, csütörtök | Helyi
Forrás: Baranya Megyei Rendőr-főkapitányság

Vezetni biztonsággal

Vezetni biztonsággal

Az első fordulóval beindul a Pécs Városi Baleset-megelőzési Bizottság és a Pécs-Baranya Közbiztonsági Alapítvány „Vezetni Biztonsággal” négy fordulós vetélkedősorozata.

A vetélkedő lényege, a közlekedők figyelmét ráirányítsa a balesetek kiszámíthatatlanságára, a baleseti okokra.

Minden forduló egy baleseti szituációt jelenít meg. A vetélkedőben részt vevő személy feladata a felvázolt közlekedési szituációk értelmezését követően válaszolni a feltett kérdésekre.

A fordulók végén a helyes megfejtők között három - három ajándékcsomagot sorsolunk ki. Aki mind a négy fordulóra beküldi a helyes megfejtést, azok között is kisorsolunk három értékes ajándékcsomagot.

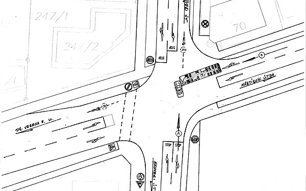
„A” személygépkocsi közlekedett Pécsett a Megyeri úton, a Verseny utca irányából a József Attila út irányába. Haladása során a Mártírok úti kereszteződésbe behajtva a gépkocsi elejével nekiütközött a tőle jobbról érkező, a Mártírok útján a Dr. Veress E. u. irányába közlekedő Busz elejének.

Ki volt és milyen szabályt hagyott figyelmen kívül a baleset okozója?

A balesettel érintett járművezetőnek milyen kötelezettségei vannak?


A válaszokat kérjük 2013. április 18. (csütörtök) 12,00 óráig beküldeni a Pécs Városi Baleset-megelőzési Bizottság címére: 7622 Pécs, Vargha D. u. 3., vagy a gradvolts@baranya.police.hu címre. A megfejtésen kérjük feltüntetni: „Vezetni biztonsággal” I. forduló.

Ezek érdekelhetnek még

2025. December 11. 10:00, csütörtök | Helyi

BestByte Ünnepi Nagyakció indul dec. 12-től Dombóváron!

Kiemelt ünnepi ajánlatok - hosszabbított ünnepi nyitva tartás a gondtalan vásárláshoz!

2025. December 10. 16:00, szerda | Helyi

Újabb dílereket buktattak le bonyhádi nyomozók - videó a cikkben

Egyházaskozáron igazoltatták egyiküket, azóta a bíróság mindkettőjüket letartóztatta.

2025. December 08. 21:23, hétfő | Helyi

Kettős jubileumot ünnepeltek Dombóváron: 50 éves a helyi karate, 20 éves a Dombóvári Karatesuli

Dombóvár méltó ünnepséggel tisztelgett a karate fél évszázados helyi jelenléte és a Dombóvári Karatesuli 20 éves fennállása előtt.

2025. December 08. 10:00, hétfő | Helyi

Tegyünk együtt a rászoruló családok karácsonyáért! – Karácsonyi Cipősdoboz Akció Dombóváron

Dombóvár Város Önkormányzata és helyi szervezetei idén is meghirdetik a Karácsonyi Cipősdoboz Akciót, hogy segítséget nyújtsanak a rászoruló családoknak.